I try to make it to the Hawaiian Islands every year and I have a pretty good success rate. When I go, usually to Maui, I make it a point to spend most of my mornings snorkeling. In the afternoons I'll hop in an air conditioned car and explore the island which, even after many (many) trips, is still exciting.
Since I want to memorialize any encounters with sea turtles or dolphins that may occur while I'm snorkeling, that really narrows down my camera choices. I'm not hardcore enough to bring a large camera in a big housing; rather, I want something I can slip into the pocket of my swimsuit while I'm struggling to put on my fins. I also need a camera that can capture the beautiful rainbows and sunsets that are almost a daily occurrence. The camera that covers both bases for me is the Olympus Tough TG-5.
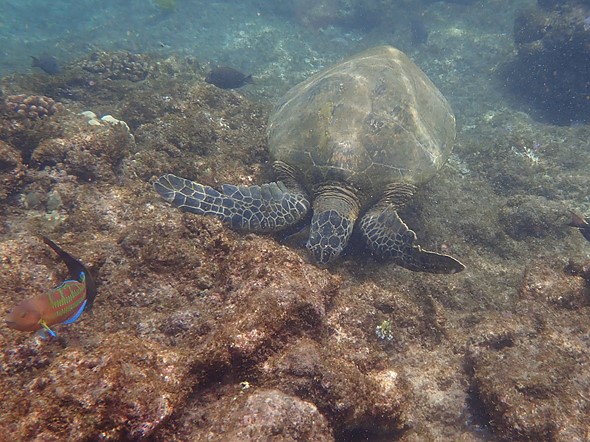
Hungry hungry honu, Kaanapali, Maui. Cropped out-of-camera JPEG.
ISO 100 | F3.5 | 1/250 sec | 33mm equiv | Photo by Jeff Keller
To be honest, 2015's TG-4 didn't need a lot of improvements. It had solid image quality for a compact, a lens that's fast at its wide end, Raw support, a GPS, manometer, thermometer, and compass, along with respectable battery life. It could take a beating and, unlike some underwater compacts I've tested, didn't leak at all when it went diving. The main things that irked me about the TG-4 were its awkward zoom controller, limited aperture choices and too much noise reduction in JPEGs.
The TG-5 has a great macro mode, with a 1cm minimum focusing distance. It captures plenty of detail, as you can see from this photo of my lunch.
ISO 100 | F2.8 | 1/160 sec | 24mm equiv | Photo by Jeff Keller
The TG-5 was exciting because of the drop in resolution (from 16MP to 12MP), which I hoped would improve pixel-level image quality, plus the addition of more tracking functions, 4K video and (yes!) an improved zoom controller. Olympus also finally switched to an actual micro-USB port instead of using the same proprietary connector that's been used for 15 years. The burst rate has jumped to 20 fps, so you can just mash the button down and hope to get a decent shot of a fast-moving sea turtle or surfer. Unfortunately there are still just three apertures to choose from at any time (the camera uses an ND filter to "stop down" the lens,) but that rarely held me back.
As mentioned above, the main reason I brought the TG-5 to Maui was for underwater photos, and it rarely disappointed, as long as you remember that it's a compact camera. It literally takes no effort to transition from 'regular' to underwater shooting, as there's a dedicated spot on the mode dial for that purpose. Generally I left it at the default setting: Underwater Snapshot, since it uses natural light and the flash is fired only when necessary. There's an a multi-shot underwater HDR mode, though given the motion of myself, the camera and the fish, the chance of getting a sharp photo is near zero.
The TG-5 isn't just waterproof to 50 feet / 15 meters (and more if you buy the optional housing). It's also shockproof from 7ft/2.1m, freezeproof to -10°C/+14°F and crushproof to 220lbs/100kg. On this trip I dropped and nearly crushed my glasses on the slopes of Haleakal?, heavily scratching the lenses on rough lava sand. I'm pretty sure the TG-5 would've fared better.
The addition of 4K (UHD) support is a welcome one, though for some reason you have to enter the dedicated movie mode to use it, rather than just selecting it like any other resolution. If you're underwater that means that you have to re-select underwater white balance if you want things to look good. While not mind-blowing, video quality is good for the sensor size. Something worth pointing out is that if you zoom the lens, the microphone will pick up the sound, especially underwater.
Pictures I took 'on land' were very nice, though keep your expectations in check on this compact camera: there is a lot of noise reduction and the lens is somewhat soft. Maui is a colorful place and the TG-5 does a great job of capturing it.
I'm a big fan of the colors in Olympus' JPEGs. Black Rock, Kaanapali, Maui.
ISO 100 | F8 | 1/250 sec | 24mm equiv | Photo by Jeff Keller.
Something that Olympus brought over from its TG-Tracker is the ability to compile all of the data the GPS, manometer and compass are capturing and display it in a graph in the OI.Track app. (This is a separate app that OI.Share, which is used to download photos and remotely control the camera.)
Even if it's sort of a novelty, I still think it's cool being able to see where in your journey you took photos, and what the conditions were. One more thing that I appreciate is the ability to check all of that sensor data at any time, even when the camera is off, by pressing the Info button. You also turn on the camera's very bright LED illuminator by holding the same button down for several seconds.
While I wouldn't bring it on a once-in-a-lifetime trip where I want top-notch photo quality, for cruises, tropical vacations, hiking or climbing, the TG-5 would be the camera I pack in my bag due to its compactness, feature set and ruggedness.
Więcej...











Odpowiedz z cytatem